조황관리HOME / 조황관리 / 상세정보

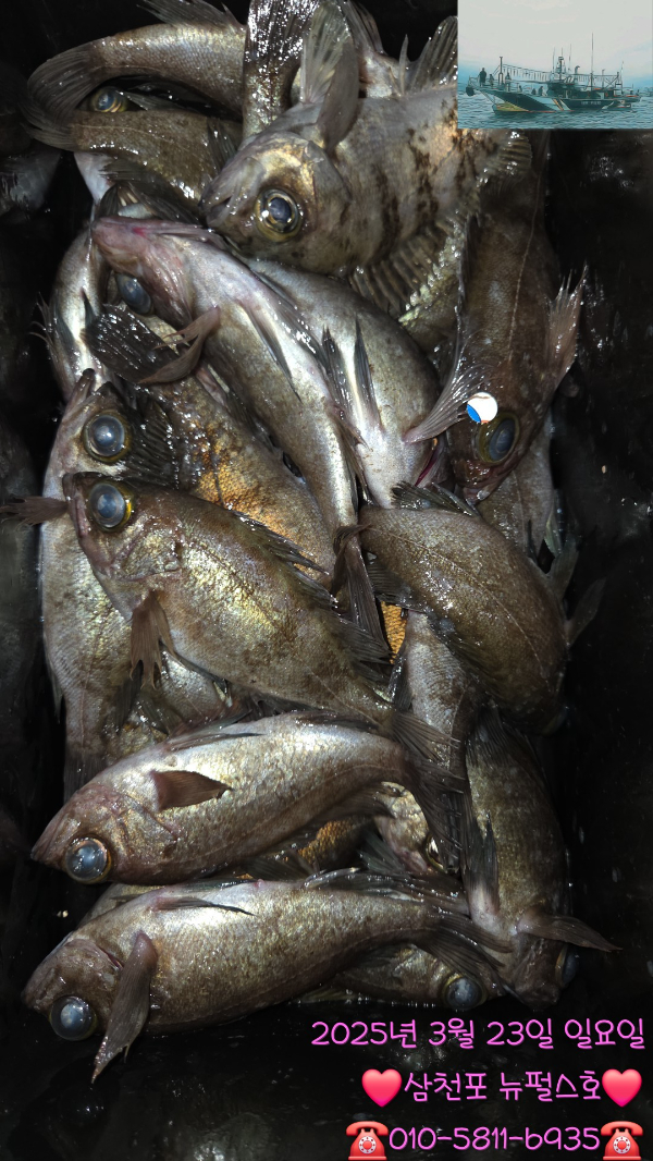
제목 : 너울밭에도 앙칼진볼락~ 일요일 자리여유~
등록일 : 2025-03-23
너울이 꿀렁꿀렁 재미지게 놀다왔습니다

내만권 볼락루어 본격 개시
3월 기한 선비 이벤트 5만원 간단식사 라면 간식 제공
출항 18시~입항 01시
오늘도 출항준비중 함께하실분 구합니다 
예약은 사이트로 해주시면 감사하겠습니다!
유선예약도 가능하십니다!
단, 밴드 댓글은 예약이 안됩니다!!

TimePhoto_20250322_194306.jpg


TimePhoto_20250323_005921.jpg


TimePhoto_20250323_010009.jpg


TimePhoto_20250323_010128.jpg


TimePhoto_20250323_010245.jpg


TimePhoto_20250323_010352.jpg


TimePhoto_20250323_010018.jpg


TimePhoto_20250323_010314.jpg


TimePhoto_20250323_010402.jpg

 
#남해권 
☆ 왕 9.77톤 풀옵션 승객 20인승으로 운항합니다!
☆ 선입금 해주셔야 예약완료 되십니다.
        사이트예약후 24시간 이내, 
       유선예약 문자받으시고 24시간 이내 입금해주시고 
        문자한통 부탁드려요~
        시간내 미입금시 예약취소됩니다.
☆ 선비 입금계좌
      카카오뱅크 3333-08-5828103 김현아
      수협 1010-2649-8771 김현아
☆ 취소 및 환불규정
- 출항일 기준 3일전 : 100% 환불
- 출항일 기준 2일전 : 50% 환불
- 출항일 기준 1일전 또는 당일 : 환불 불가
        기상악화, 선사사정으로 취소시 100%환불
☆ 선사제공 - 식사(도시락), 
                    한강라면(라면조리기), 생수,
                    커피, 음료, 간단한간식(스낵바)
 ♧ 선장, 사무장 승선
 ♧ 자리마다 넓은 낚시간격
 ♧ 자리마다 개인 물칸
 ♧ 축광기 설치완료!
 ♧ 커피머신, 고급원두로 맛난커피
 ♧ 제빙기 설치로 시원한 음료 가능
 ♧ 배전체 그늘막 설치완료
 ♧ 스낵바, 믹스커피, 냉동고에 시원한 물, 음료~
 ♧ 다리 피로를 줄어줄 방부목 미끄럼방지 데크 
 ♧ 미끄럼 방지를위해 모든곳에 미끄럼방지 도료도장
☆ 장비대여시 예약하실때 말씀부탁드려요!
      예약시 말씀 안하시고 배에오셔서 말씀하실경우
      대여가 불가피한 상황이 생길수도 있으니
      미리미리 말씀해주세요!!
☆ 자리는 추첨식입니다. 
        1순위 연박
        2순위 4인이상 단체
      (출항 30분전까지 도착해주세요~)
☆ 예약 및 문의사항은 
      010-5811-6935 연락주세요!
      (부재시 문자한통 보내주시면 
       확인하는대로 연락드리겠습니다!)
☆ 승선지 위치
       경남 사천시 동금동 158-55 #남해조황



*** 삼천포 뉴펄스호 예약 안내 ***


예약문의 : 010-5811-6935

오시는길 : 경남 사천시 팔포3길 56-55

모바일.jpg

Top